ABNnews — Badan Penanggulangan Bencana Daerah (BPBD) Bali meminta masyarakat menyiapkan tas siaga yang berisi barang berharga di tengah ancaman dampak bibit Siklon 93S.
“Siapkan langkah-langkah darurat bila diperlukan, rencana darurat, jadi kalau punya barang-barang berharga, surat berharga, disiapkan dalam satu tas, tas siaga,” kata Kepala Pelaksana BPBD Bali I Gede Agung Teja Bhusana Yadnya.
“Sehingga pada saat perlu evakuasi segera, bisa segera, jadi tidak ujuk-ujuk terendam semua,” sambungnya di Denpasar, Selasa.
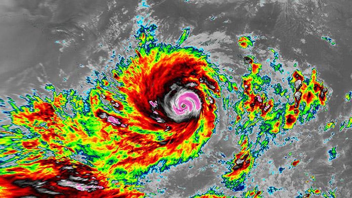
Diketahui badai bibit Siklon 93S mengancam Bali dalam periode 11-18 Desember 2025 ini, dimana dalam lima hari terakhir saja cuaca ekstrem telah menyebabkan banjir di lima kabupaten.
Atas kejadian ini BPBD Bali meminta masyarakat menyadari bahwa bencana bukan lagi untuk diantisipasi ke depannya, melainkan sudah ada masanya, sehingga harus siap baik dengan tas siaga maupun siaga informasi.
“Jadi yang pertama tentu tenang dulu, setelah tenang, baru kita bisa mencari informasi. Ikuti lah informasi perkembangan cuaca, sekarang per desa sudah tahu hujannya jam berapa sampai jam berapa lewat aplikasi info BMKG,” ujar Gede Teja.
BPBD Bali turut mengarahkan masyarakat memahami tempat-tempat aman di sekitar tempat tinggal, seperti yang jauh dari sungai, sehingga ketika dampak Siklon 93S terjadi, masyarakat dapat berlindung dan segera menghubungi BPBD.
“BBPD di sini tak pernah libur, selalu berupaya mengkolaborasikan berbagai kekuatan untuk merespons, termasuk kesiapan alat, alat sedot, kemarin cukup banyak juga menyedot air, tapi kalau jangka panjang kita perlu kesiapan infrastruktur yang lebih baik lagi,” kata dia.
Bibit Siklon 93S dikatakan berbeda dengan Gelombang Rosby yang membuat banjir besar September 2025 lalu. Seperti dilansir dari antaranews, yang membuatnya menjadi bahaya adalah munculnya siklon saat Bali memasuki musim hujan, sehingga meski menjauh dampaknya tetap membahayakan.
Meski demikian pihaknya mengajak masyarakat untuk tak sepenuhnya menyalahkan cuaca ekstrem, melainkan menyadari daya dukung lingkungan yang belum siap, seperti belum mampu mengalirkan air dengan baik atau masalah pada sistem drainase dan persoalan tata ruang.
“Ya perlu ditingkatkan baik drainase lama atau baru, karena dilihat juga drainase ada sampah, selain lumpur juga ada sampah kabel, macam-macam,” kata Gede Teja.

